All published articles of this journal are available on ScienceDirect.
Penetration of Silver Diamine Fluoride with and without Potassium Iodide in Carious Lesions: An In Vitro Study
Abstract
Introduction
Potassium iodide (KI) has been proposed as an additive to reduce tooth staining caused by silver diamine fluoride (SDF). However, its effect on the penetration depth of SDF has not been thoroughly investigated. This study aimed to evaluate the penetration depth of SDF and SDF/KI in carious lesions.
Methods
In this in vitro study, 24 extracted deciduous molars with active caries were divided into three groups: SDF, SDF/KI, and control. SDF (Kids-e-dental, India) and SDF/KI (Kids-e-dental, India) were applied to the infected dentin surfaces according to the manufacturer’s instructions. Mineral density and structural analyses of affected dentin were performed using Energy Dispersive X-ray Spectroscopy (EDS) and Scanning Electron Microscopy (SEM). Data were analyzed using one-way ANOVA, the Games-Howell test, and the Kruskal-Wallis test, with p < 0.05 considered significant.
Results
Fluoride ion penetration was significantly higher in the SDF group (1.37 ± 0.89 wt%) than in the control group (0.28 ± 0.24 wt%, p = 0.024). No significant difference was observed between SDF and SDF/KI (p = 0.061), or SDF/KI and control (p = 0.520). Silver and iodine ion penetration also showed no significant differences (p = 0.097 and p = 0.066, respectively). SEM analysis revealed greater ion diffusion and accumulation in the superficial lesion area of the SDF group. In contrast, the SDF/KI group displayed a more uniform fluoride distribution, while silver and iodine ions showed a more heterogeneous distribution. The control group exhibited minimal silver and fluoride movement. EDS analysis confirmed that silver and fluoride ion concentrations were higher in the SDF and SDF/KI groups compared to the control group.
Discussion
KI altered fluoride ion distribution by reducing surface concentrations without compromising deeper penetration or silver ion diffusion, suggesting it preserves SDF's effectiveness while enhancing compatibility with adhesive restorations.
Conclusion
Application of SDF facilitated fluoride ion penetration into infected carious lesions. The addition of KI to SDF reduced surface fluoride ion concentrations in the caries structure compared to SDF alone, without affecting the concentrations of other ions. Importantly, KI did not impair the deep diffusion of SDF.
1. INTRODUCTION
Early childhood caries (ECC) is a prevalent oral disease affecting the deciduous teeth of children up to six years of age [1]. This chronic condition is influenced by multiple factors, including diet, the oral microbiome, dental hygiene, and social determinants of health [2]. Untreated ECC can result in malocclusion, abscesses, and pain [3]. Severe ECC (S-ECC) may further impact a child’s oral health, nutrition, and growth [4]. Prevention strategies focus on reducing the transmission of Streptococcus species, limiting dietary sugars, applying topical fluoride, and conducting early dental examinations [5]. Providing conventional restorative treatments to young children with severe dental issues, including those with special needs, remains challenging even when dental services are accessible [6].
Silver diamine fluoride (SDF), a formulation containing fluoride, ionic silver, ammonia, and water, was approved by the United States Food and Drug Administration in 2014 as an anti-hypersensitivity agent [7]. SDF is a cost-effective and user-friendly topical treatment that has gained widespread use due to its effectiveness in arresting caries [8]. It slows caries progression in both deciduous and permanent teeth, reduces root caries in elderly patients, and alleviates tooth sensitivity by occluding dentinal tubules. The strong antibacterial action of silver ions in SDF significantly inhibits oral bacteria, particularly Streptococcus mutans [9-12]. The combination of silver and fluoride exerts a synergistic effect in halting caries progression, distinguishing SDF from other fluoride-containing products [13].
A notable drawback of SDF is tooth discoloration. Studies have shown that decayed enamel and dentin may turn dark brown or black following SDF application [14]. Higher rates of demineralization increase silver ion absorption, intensifying the color contrast between damaged and healthy tissues [15]. This staining is persistent and can only be removed by physical methods [16]. The addition of potassium iodide (KI) to SDF has been proposed as a solution to reduce discoloration. KI reacts with excess silver ions in SDF to form silver iodide, a light-sensitive, insoluble precipitate that prevents black staining on teeth [17]. SDF/KI products, such as those from Dental KEDO, are designed to reduce SDF-related discoloration while maintaining anti-caries efficacy [18-20].
Previous research on KI has explored its effects on dentin, oral bacteria, and restoration bond strength in SDF/KI-treated teeth [21]. However, further studies are required to fully assess its efficacy in arresting dental caries compared to SDF alone. A systematic review by Mungur et al. reported conflicting evidence on the effectiveness of SDF combined with KI, suggesting that KI may limit SDF’s caries-arresting ability, although these differences may not be directly attributable to KI addition [22]. Most existing studies have focused on healthy dental blocks or animal models, providing limited information on the interactions of SDF and KI in carious lesions of primary teeth. Evidence from recent systematic reviews indicates that few studies have examined the penetration depth of SDF with KI in untreated carious teeth, as most studies involved prior caries removal or cavity preparation [23].
Therefore, this study aimed to evaluate the penetration of SDF combined with KI in caries lesions without prior caries removal.
2. MATERIALS AND METHODS
2.1. Study Design and Type
This in vitro experimental study aimed to evaluate the penetration of silver diamine fluoride (SDF) and SDF combined with potassium iodide (SDF/KI) in carious lesions of primary molars, using scanning electron microscopy (SEM) and energy-dispersive X-ray spectroscopy (EDS) for structural and elemental analysis.
2.2. Ethical Approval
This study was approved by the Ethical Research Committee of Ardabil University of Medical Sciences (IR.ARUMS.REC.1403.051).
2.3. Sample Size
The sample size was determined based on a previous study conducted by Kiesow et al. [24]. The following formula was used for sample size determination, considering α= 0.05, μ2 = 62.6, μ1 = 31.4, S2 = 24.8, S1= 7.9, z1-β = 1.28, z1- α/2 = 1.96:
n= (z1- α/2 + z1-β) 2 (S12 + S22)/ (μ1 - μ2) 2
A total of 24 primary molars were included based on power analysis and feasibility considerations. The institutional review board approved the sample size.
2.4. Statistical Justification of the Sample Size
A total of 24 primary molars, selected based on Kiesow et al. [24] and practical feasibility, were included in the study with approval from the institutional review board. This sample size is consistent with similar in vitro studies investigating ion penetration following SDF application. Each group consisted of 8 specimens (n = 8), reflecting standard practice for SEM/EDS analyses. This number was sufficient to detect significant differences in fluoride ion concentration using one-way ANOVA, supporting the reliability of the results. Future studies should incorporate formal power calculations and larger, stratified samples to enhance statistical robustness and generalizability.
2.5. Participant Selection Criteria and Specimen Collection
The study included extracted primary molars with large active carious lesions that did not extend into the pulp. Exclusion criteria:
- Teeth with previous restorations
- Teeth with developmental anomalies
The extracted teeth were collected from pediatric patients (ages 4-9 years) undergoing routine dental extractions as part of comprehensive treatment plans. Teeth were not extracted specifically for this study. Immediately after extraction, any hard or soft tissues attached to the teeth were removed. The teeth were then stored in a 0.5% T chloramine solution (Merck, Darmstadt, Germany) for disinfection and immersed in distilled water for 24 hours before the experiment [25].
2.6. Randomization and Blinding
The 24 teeth were randomly assigned to three experimental groups (n = 8 per group) using a computer-generated randomization sequence. The study was single-blinded, as the examiners performing SEM-EDS analysis were blinded to group allocation.
2.6.1. SDF Application Protocol
The teeth were subsequently divided into three experimental groups:
- Group 1: Silver diamine fluoride (Kids-e-dental, India)
- Group 2: Silver diamine fluoride with potassium iodide (Kids-e-dental, India)
- Group 3: Deionized water as the control group.
The demineralized surfaces of the teeth were first dried with a gentle flow of compressed air. For the SDF application, each lesion was treated using a microbrush saturated with one drop of 38% SDF solution (5 ml silver diamine fluoride, with a fluoride concentration of 38%). The brush was dipped into the SDF solution and then dabbed on the side of a plastic dappen dish to remove any excess liquid before application. The solution was applied with agitation for 30 seconds and then left undisturbed for one minute [26]. Afterwards, each lesion was rinsed with water using a triple syringe for 10 seconds and gently dried with an air syringe for another 10 seconds. For the SDF/KI application, after the initial application of SDF and a one-minute wait, one drop of potassium iodide solution (5%, Kids-e-dental, India) was applied using an applicator tip until the discoloration was no longer visible. The treated surface was then rinsed with water using a triple syringe for 10 seconds and gently dried with an air syringe for 10 seconds [27]. The control group was treated with deionized water. The samples were stored at 80% relative humidity and 37°C for 24 hours before evaluation by scanning electron microscopy (SEM) and energy-dispersive X-ray spectroscopy (EDS). Examiners were calibrated for SEM-EDS analysis by independently assessing pilot samples, achieving substantial agreement (Cohen’s kappa = 0.85).
2.6.2. SEM-EDS Analysis of the Sectioned Teeth
For imaging and analysis, the teeth were embedded in clear acrylic resin and sectioned using a cutting machine (Thin Sectioning Machine Inc., Rochester, NY, USA) along a mesial-distal plane. Elemental maps were conducted from the infected tooth structure to the healthy dentin to assess ionic element transfer, including fluoride, silver, and iodide ions, to be measured as weight percent (WT%) concentrations. The slices were gold-coated (20nm) and analyzed by a scanning electron microscope (Quanta 250, FEI Company, Eindhoven, The Netherlands), equipped with an Energy Dispersive X-ray Spectrometer (EDS Detector, Bruker's XFlash 6I 10, Billerica, MA, USA). The visible affected dentin after the infected dentin was chosen as the starting point to ensure that the reference point was as standardized as possible [28].
2.7. Statistical Analysis
Data were analyzed using SPSS version 22. The Kolmogorov-Smirnov test was used to assess the normality of data distribution. For normally distributed variables (fluoride and silver ion penetration), one-way ANOVA was performed. For non-normally distributed data (iodine ion penetration), the Kruskal-Wallis test was applied. For pairwise comparisons of the fluoride ion penetration variable across study groups, the Games-Howell post hoc test was used based on the Levene test results. The Games-Howell post hoc test was used without further correction. Effect sizes (partial eta-squared for ANOVA and epsilon-squared for Kruskal-Wallis) and 95% confidence intervals (CIs) were also reported for key comparisons to improve interpretation. The significance level was set at p < 0.05.
3. RESULTS
Table 1 presents the mean fluoride, silver, and iodide ion weight percentage concentrations (wt%) in affected dentin for all study groups. Fluoride ion penetration showed a statistically significant difference among groups (p = 0.009). The SDF group had the highest fluoride concentration (1.37 ± 0.89 wt%; 95% CI: 0.63 to 2.11), followed by SDF/KI (0.47 ± 0.35 wt%; 95% CI: 0.15 to 0.79), and the control group (0.28 ± 0.24 wt%; 95% CI: –0.03 to 0.58). Silver (p = 0.097) and iodine (p = 0.066) ions did not show significant between-group differences. However, higher mean values were observed in SDF and SDF/KI compared to the control. For silver: SDF (4.32 ± 0.70; 95% CI: 3.72–4.91), SDF/KI (2.90 ± 0.48; 95% CI: 2.51–3.31), and control (0.04 ± 0.05; 95% CI: –0.04–0.13). For iodine: SDF/KI (3.72 ± 2.57; 95% CI: 1.57–5.87), SDF (1.10 ± 0.34; 95% CI: 0.84–1.51), and control (1.58 ± 0.82; 95% CI: 0.84–2.35).
Figure 1 presents a bar graph depicting the mean penetration levels of fluoride, silver, and iodide ions in the control, SDF, and SDF/KI groups.
Table 2 shows the Games-Howell post hoc test results for pairwise comparisons of the study groups for the fluoride ion penetration variable. The results revealed that the SDF group showed significantly higher fluoride ion penetration than the control group (p = 0.024). No significant differences were observed between the other study groups (p > 0.05).
This increased fluoride ion penetration in the SDF group is clinically relevant, as it suggests a greater potential for remineralization and caries arrest in the deeper dentin layers. The SDF/KI group demonstrated a lower surface fluoride concentration than SDF alone but still showed improved fluoride diffusion over the control, indicating a therapeutic benefit with reduced esthetic concern.
Bar chart for average penetration levels of fluoride, silver, and iodide ions in the study groups.
| - | Group | Lowest | Highest | Mean ± Std. deviation | 95% Confidence Interval for Mean | p-value | |
|---|---|---|---|---|---|---|---|
| Lower Limit | Upper Limit | ||||||
| Fluoride | Control | 0.00 | 0.58 | 0.28±0.24 | -0.03 | 0.58 | 0.009* |
| SDF | 0.08 | 2.47 | 1.37±0.89 | 0.63 | 2.11 | ||
| SDF/KI | 0.00 | 1.01 | 0.47±0.35 | 0.15 | 0.79 | ||
| Silver | Control | 0.00 | 0.12 | 0.04±0.05 | -0.04 | 0.13 | 0.097* |
| SDF | 0.33 | 9.53 | 4.32±0.70 | 3.72 | 4.91 | ||
| SDF/KI | 0.37 | 7.78 | 2.90±0.48 | 2.51 | 3.31 | ||
| Iodine | Control | 0.72 | 2.31 | 1.58±0.82 | 0.84 | 2.35 | 0.066** |
| SDF | 1.42 | 2.40 | 1.10±0.34 | 0.84 | 1.51 | ||
| SDF/KI | 1.51 | 8.78 | 3.72±2.57 | 1.57 | 5.87 | ||
** Kruskal-Wallis test.
| Group (I) | Group (J) | Mean Difference (I-J) | p-value* |
|---|---|---|---|
| Control | SDF | -1.09 | 0.024 |
| Control | SDF/KI | -0.193 | 0.520 |
| SDF | SDF/KI | 0.90 | 0.061 |
| - | Control | SDF | SDF/KI |
|---|---|---|---|
| C | 19.48±12.5 | 14.86±6.76 | 14.98±6.95 |
| O | 20.52±2.49 | 18.93±4.02 | 14.23±4.12 |
| F | 0.28±0.24 | 1.37±0.89 | 0.47±0.35 |
| Na | 0.31±0.14 | 0.34±0.11 | 0.30±0.30 |
| P | 7.72±3.49 | 8.80±1.05 | 6.98±2.22 |
| Ca | 17.04±7.68 | 20.88±4.24 | 15.98±5.70 |
| Ag | 0.04±0.05 | 4.32±3.70 | 2.90±2.89 |
| I | 1.58±0.62 | 1.80±0.34 | 3.72±2.57 |
| Mg | 0.18±0.10 | 0.28±0.22 | - |
Table 3 presents the mean elemental concentrations (wt%) across the study groups. Fluoride ion levels were also elevated in the SDF (1.37 ± 0.89) and SDF/KI (0.47 ± 0.35) groups relative to the control (0.28 ± 0.24). Silver ion concentrations were higher in the SDF (4.32 ± 3.70) and SDF/KI (2.90 ± 2.89) groups compared to the control group (0.04 ± 0.05). Iodine ion concentrations in the SDF (1.80 ± 0.34) and SDF/KI (3.72 ± 2.57) groups exceeded those of the control (1.58 ± 0.62). Calcium (Ca), carbon (C), and oxygen (O) had the highest concentrations among all groups.
Figures 2-4 shows SEM and EDX chemical analysis images of sectioned teeth from the SDF, SDF/KI, and control groups, highlighting both infected and non-infected dentin. The EDX spectral analysis confirmed that the primary elements detected in affected dentin treated with SDF and SDF/KI were calcium (Ca), phosphorus (P), iodine (I), oxygen (O), carbon (C), and silver (Ag). Fluoride (F), magnesium (Mg), and sodium (Na) were also detected. Silver ions were observed at 0-3 keV and around 22 keV, distinct from other ions. The highest peaks were for Ca at 3.6 keV and P at 2 keV. In the control group, levels of Ca, P, I, C, and O were similar to those in the treated groups; however, Ag and F levels were lower. The highest peaks in the control group were linked to Ca and P.
Scanning Electron Microscopy (SEM) image of affected dentin from the SDF/KI-treated group (×69 magnification), accompanied by Energy-Dispersive X-ray (EDX) spectral analysis. The SEM image shows the surface layer, body of the lesion, translucent zone, and sound dentin zone. The labelled regions are as follows: 4. SZ – Surface Zone (outermost layer), 3. BL – Body of the Lesion (porous, demineralized zone), 2. TZ – Translucent Zone (deepest part of the lesion), and 1. SD – Sound Dentin (intact, structured tissue). The X-axis of the EDX spectrum represents energy (keV), while the Y-axis indicates the intensity (eV/cps) of detected elements.
Scanning electron microscopy (SEM) image of affected dentin from the SDF-treated group (×129 magnification), with corresponding energy-dispersive X-ray (EDX) spectral analysis.The SEM image displays the body of the lesion, translucent zone, and sound dentin. The labelled regions are as follows: 3. BL – Body of the Lesion (porous, demineralized zone), 2. TZ – Translucent Zone (deepest part of the lesion), and 1. SD – Sound Dentin (intact, structured tissue). The X-axis of the EDX spectrum represents energy (keV), while the Y-axis shows the intensity (eV/cps) of detected elements.
Scanning electron microscopy (SEM) image of affected dentin from the control group (×129 magnification), accompanied by energy-dispersive X-ray (EDX) spectral analysis. The SEM image displays the body of the lesion, translucent zone, and sound dentin. The labelled regions are as follows: 3. BL – Body of the Lesion (porous, demineralized zone), 2. TZ – Translucent Zone (deepest part of the lesion), and 1. SD – Sound Dentin (intact, structured tissue). The X-axis of the EDX spectrum represents energy (keV), while the Y-axis shows the intensity (eV/cps) of detected elements.
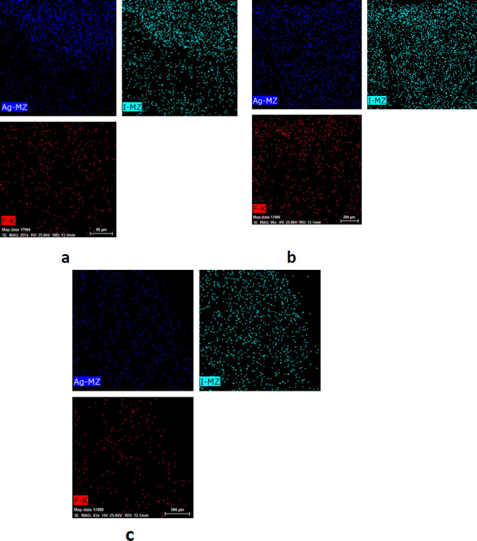
Figure 5a-c displays the elemental mapping of the same tooth sections. In the SDF group, increased accumulation and movement of silver (Ag), iodide (I), and fluoride (F) ions were observed in the superficial carious lesion, with fluoride showing the greatest density difference between the superficial and deep areas. In the SDF/KI group, silver and iodine ions accumulated more in the superficial area, while fluoride penetrated deeper compared to the control group, although its surface concentration was lower than in the SDF group. Fluoride distribution appeared more evenly dispersed throughout the lesion depth in this group. The control group exhibited lower overall levels of silver and fluoride ions, with a nearly homogeneous distribution of all three ions throughout the tooth structure.
4. DISCUSSION
The caries-arresting potential of silver diamine fluoride (SDF) is attributed to its dual action: antimicrobial silver ions inhibit cariogenic bacteria, while fluoride ions promote remineralization of tooth structures. This dual mechanism allows SDF to serve as both a preventive and therapeutic agent, particularly prior to the initiation of restorative procedures [29]. Studies confirm its safety, showing no toxicity or pulp damage following indirect application [30]. Moreover, the simplicity of the SDF application provides a significant advantage over conventional operative treatments, as it can be performed in diverse settings without advanced equipment [31]. A notable drawback is black discoloration caused by silver phosphate (Ag3PO4) deposition [32]. Applying potassium iodide (KI) after SDF reduces this effect by forming a yellow iodide precipitate, preventing silver phosphate formation [33]. Previous research consistently demonstrates that 38% SDF is highly effective in managing and arresting dental caries in primary dentition [34]; hence, this concentration was used in the present study.
In the current study, the concentrations of silver, fluoride, and iodine ions were higher in the SDF and SDF/KI groups compared to the control. Water-soluble SDF readily penetrated carious lesions due to their high permeability and moisture content. The loss of mineral content in peritubular and intertubular dentin further facilitated transdentinal and intradentinal diffusion of SDF [35]. Additionally, the low molecular weight of SDF enhances deeper penetration [36].
Unlike the SDF/KI and control groups, which exhibited relatively homogeneous ion distribution, the SDF group showed reduced fluoride diffusion from the surface toward the lesion depth. The two-step SDF/KI application may explain this: the initial fluoride-rich SDF layer is followed by KI application, which reduces the superficial fluoride concentration without affecting deeper penetration [28]. Thus, KI does not negatively impact the remineralizing and caries-arresting properties of SDF but primarily modifies the surface fluoride layer. These findings align with a systematic review by Papagatsiou et al., which reported that KI addition does not compromise—or only slightly reduces-the efficacy of SDF in arresting caries [37].

Elemental mapping of silver (Ag), iodine (I), and fluoride (F) ions in representative tooth samples. Each map shows ion distribution in infected and non-infected dentin regions for: (a) SDF treatment group, (b) SDF/KI treatment group, and (c) control group.
The reduction of surface fluoride may have clinical advantages, as lower superficial fluoride could reduce interference with adhesive bonding, potentially improving the bond strength of subsequent restorative materials to SDF-treated dentin and reducing microleakage. This effect mirrors benefits observed from washing, etching, or polishing after SDF application [38, 39]. Consequently, KI use may enhance compatibility with restorative procedures, including composite resin, resin-modified glass ionomer cement, and other adhesive systems. Manuschai et al. demonstrated that adding KI does not significantly affect the antibacterial efficacy of SDF against mixed-species biofilms on human root dentin [40]. Similarly, Kaur et al. found that SDF penetration is more dependent on the natural dentin structure than on the presence of KI, indicating that KI does not compromise SDF’s protective properties [41]. Manuschai et al. also reported that sclerotic dentin in deeper lesions limits SDF penetration, suggesting that lesion depth and microstructure significantly influence ion diffusion [35].
Hydration is another critical factor for ion transport, as diffusion primarily occurs through aqueous pathways [42]. Since extracted teeth were used in this study, dentinal tubules were likely dehydrated, and pulpal pressure was absent, potentially reducing ion diffusion compared to in vivo conditions [42, 43].
Elemental mapping showed greater silver ion penetration in superficial areas, likely due to the exposure of reversibly denatured collagen, which facilitates silver precipitation via functional groups such as sulfur and nitrogen [15, 35, 44]. Zaneldin et al. reported that silver ions penetrate hard tooth tissues more effectively in areas of advanced caries due to increased collagen exposure [30]. Rajakumari et al. noted that silver ions maintain sustained biocidal activity even after killing bacteria, as dead bacteria serve as reservoirs for silver release [45]. Bhatt et al. observed that light exposure catalyzes silver precipitation in superficial infected dentin layers, enhancing silver ion deposition in carious lesions [46].
In this study, fluoride ion penetration was significantly higher in the SDF group than in the control, confirming SDF’s effect on enhancing remineralization by forming stable compounds such as fluoro-hydroxyapatite or calcium fluoride-like particles, which act as fluoride reservoirs [36]. Surface analysis by Samani et al. similarly revealed higher silver and fluoride ion content in SDF-treated samples compared to controls [13]. Rogalnikovaitė et al. reported that SDF interaction with dental hydroxyapatite forms calcium fluoride, which is soluble in saliva and serves as a fluoride reservoir [47]. Conversely, Mulder et al. demonstrated that when SDF is combined with KI or glutathione, some silver ions are absorbed, allowing fluoride to act more efficiently over time [28]. The lack of significant difference in fluoride penetration between SDF and SDF/KI groups in this study may relate to the short experimental duration and the low stability of calcium fluoride [35]. Variations in KI concentration may also influence these outcomes [23].
No significant differences were observed in silver ion penetration between SDF and SDF/KI groups, indicating that KI addition to reduce discoloration does not substantially affect silver diffusion. This may be due to the absence of surface etching in the study, as the smear layer can limit ion deposition. Etching increases surface adhesion for KI, potentially reducing silver ion release [31].
These findings have important implications in pediatric dentistry, where non-invasive and efficient treatments are critical. SDF, with or without KI, provides a child-friendly option for caries management, particularly in young or uncooperative patients. Khan et al. found that SDF/KI improved the bond strength of glass ionomer cement to primary dentin without compromising composite resin bonding, even after thermal aging [48]. Ballikaya et al. demonstrated the long-term efficacy of SDF and SMART techniques in managing molar-incisor hypomineralization, reducing dentinal hypersensitivity, and stabilizing carious lesions [49]. SDF application before stainless steel crown placement, as in the Hall technique, may further optimize outcomes in carious primary molars [48].
While the study provides valuable insights into SDF and KI interactions in carious lesions, further research is warranted. Future studies should evaluate bond strength, caries-arresting efficacy, and antibacterial effects of SDF and SDF/KI, considering variables such as rinsing duration, etching, light curing, surface conditioning, and time-dependent penetration. Both animal and clinical studies are necessary to validate these findings and assess their clinical relevance.
Limitations of this study include the difficulty in obtaining suitable tooth samples and the inability to replicate in vivo oral conditions in a laboratory setting. Therefore, caution is advised when extrapolating these results to clinical practice, and further clinical investigations are needed.
5. LIMITATIONS OF THE STUDY
This in vitro study does not replicate clinical conditions such as saliva, microbial activity, and mechanical forces. Natural variations in lesion depth, mineral content, and activity stage among teeth may have influenced ion penetration and affected reproducibility. The short observation period limits understanding of long-term diffusion behavior, and the absence of surface treatments, such as etching, further constrains the generalizability of the findings.
CONCLUSION
Silver diamine fluoride (SDF) markedly enhanced fluoride ion penetration in carious dental structures. The addition of potassium iodide (KI) decreased surface fluoride concentrations compared to SDF alone, without affecting the levels of other ions or the deeper diffusion of SDF. This reduction in surface fluoride may improve the adhesion of restorative materials by minimizing interference with bonding agents, potentially enhancing bond strength and the longevity of restorations. Clinically, the combined use of KI with SDF is particularly advantageous in esthetically sensitive areas, as it reduces tooth discoloration while maintaining the caries-arresting efficacy of SDF.
FUTURE DIRECTIONS
Further in vivo studies are necessary to confirm the findings. Long-term effects, bond strength, and KI optimization should be investigated to enhance clinical applications.
CLINICAL SIGNIFICANCE
Silver diamine fluoride is widely recognized as an effective caries inhibitor. However, significant aesthetic concerns limit its acceptance among adults. To enhance the appearance of teeth after SDF application, potassium iodide can effectively reduce dark tooth discoloration without affecting SDF's deep penetration. Therefore, KI can be recommended as a suitable method to minimize tooth discoloration following SDF application while preserving its remineralization properties.
AUTHORS’ CONTRIBUTIONS
The authors confirm their contribution to the paper as follows: S.H.: Study conception and design: H.H.: Data collection; Z.F.: Writing - reviewing and editing. All authors reviewed the results and approved the final version of the manuscript.
LIST OF ABBREVIATIONS
| KI | = Potassium iodide |
| SDF | = Silver diamine fluoride |
| SEM | = Scanning Electron Microscopy |
| EDS | = Energy-Dispersive X-ray Spectroscopy |
| GIC | = Glass Ionomer Cement |
| MIH | = Molar-Incisor Hypomineralization |
ETHICS APPROVAL AND CONSENT TO PARTICIPATE
This study was approved by the Ethical Research Committee of Ardabil University of Medical Sciences, Iran (Approval ID: IR.ARUMS.REC.1403.051).
HUMAN AND ANIMAL RIGHTS
All procedures performed in studies involving human participants were in accordance with the ethical standards of institutional and/or research committee and with the 1975 Declaration of Helsinki, as revised in 2013.
CONSENT FOR PUBLICATION
Informed consent for publication was obtained from the guardians of all participants involved in the study.
AVAILABILITY OF DATA AND MATERIALS
All the data and supporting information are fully provided within the article. No additional datasets were generated or deposited in external repositories.
FUNDING
This study was funded by the Vice-Chancellor for Research of Ardabil University of Medical Sciences, Iran (No.403000027).
ACKNOWLEDGEMENTS
None.

